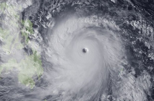
Най-малко трима души загинаха във Филипините в резултат на най-мощния за тази година тайфун Хайян, предаде ДПА, цитирана от БТА. Властите евакуираха над половин милион души заради природната стихия, която удари източното крайбрежие на архипелага. Пристанищата и летищата са затворени.
Поривите на вятъра в зоната на тайфуна достигат 315 км/ч, съобщи националната метеорологична служба, цитирана от Франс прес.
Тайфунът се придвижва бързо, което означава, че наводненията от проливни дъждове, които обикновено са главната причина за човешки жертви от тайфуни във Филипините, може да не са толкова тежки.
Хуманитарни организации в страната очакват тайфунът да засегне около 10 млн. души. Мобилизирани са всички спасителни екипи и високопроходима техника.
Американският център за сигнализиране на тайфуни в Хаваите съобщи, че малко преди да достигне сушата във Филипините супертайфунът Хайян е бил с постоянни ветрове от 314 км/час с пориви до 379 км/час.
Очаква се след Филипините той да се насочи към Виетнам и Лаос.